Горный институт (проектное название "Большой проспект")
Модератор: Nomernoy
- Metrocom
- Сообщения: 291
- Зарегистрирован: 15 май 2006, 09:07
- Станция метро: Коломяжская
Горный институт (проектное название "Большой проспект")
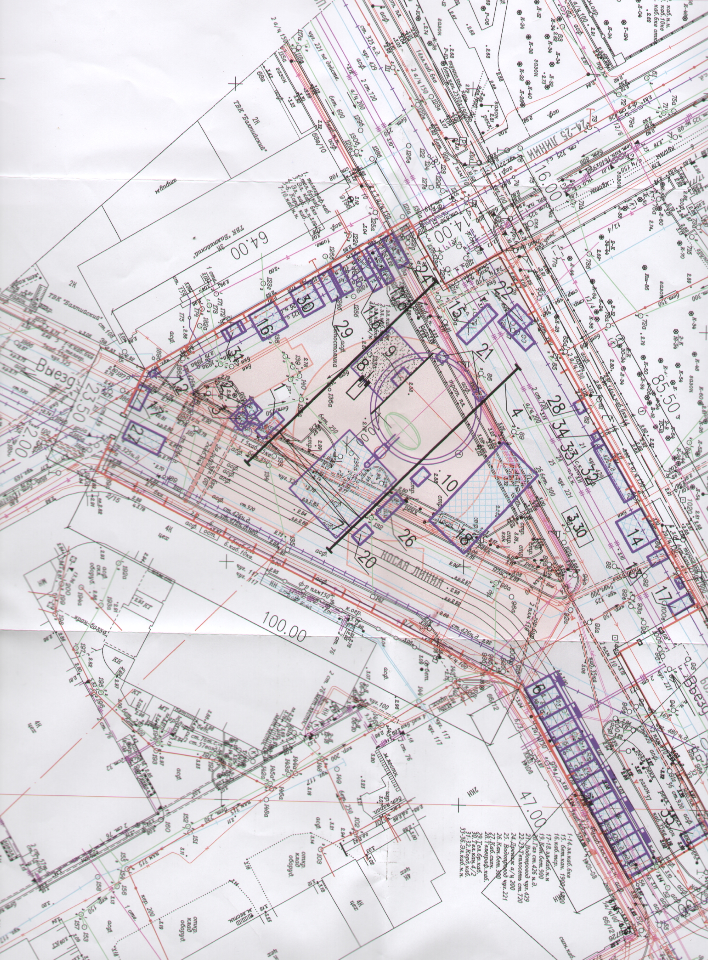
Стройплощадка на пересечении Косой линии и Большого пр. одного из выходов станции, вроде как второго.
-
Randy
- Сообщения: 3170
- Зарегистрирован: 25 янв 2005, 13:31
Re: Большой проспект
с захватом ПЧ Большого пр?? жесть.
-
vi-vi
- Сообщения: 206
- Зарегистрирован: 03 янв 2005, 13:55
- Станция метро: Выборгская
Re: Большой проспект
То есть полностью перекрывается проезд по Большому и по Косой линии...
Прикольно.
Стройплощадка примерно на два года разворачивается? Есть оценка средних сроков существования подобного объекта?
Прикольно.
Стройплощадка примерно на два года разворачивается? Есть оценка средних сроков существования подобного объекта?
"Личное мнение не является объективной сутью предмета." (С - не мой)
Увы, но мы оказались в эпохе, когда образование в большей степени превратилось в услугу. И зачастую студенту не объяснить за что его отчисляют - он этого просто не понимает.
Увы, но мы оказались в эпохе, когда образование в большей степени превратилось в услугу. И зачастую студенту не объяснить за что его отчисляют - он этого просто не понимает.
- karhu
- Сообщения: 3938
- Зарегистрирован: 31 дек 2008, 19:14
- Станция метро: Василеостровская
- Откуда: Санкт-Петербург
Re: Большой проспект
Э...и скоро она появится, раз уж тему создали в СМ? 
На самом деле это ОМГ, ибо все нафиг перекроют(Бедная Васька). Так же легко можно и Адмиралтейский проспект или Дворцовый проезд перекрыть для постройки выхода с Адмиралтейской 2.
И, конечно, видно, что строить будут Авророй.

На самом деле это ОМГ, ибо все нафиг перекроют(Бедная Васька). Так же легко можно и Адмиралтейский проспект или Дворцовый проезд перекрыть для постройки выхода с Адмиралтейской 2.
И, конечно, видно, что строить будут Авророй.
"Ключик на 60 дайте, пожалуйста".
-
Чау-чау
- Сообщения: 2592
- Зарегистрирован: 26 ноя 2011, 19:20
- Станция метро: Шкиперская
Re: Большой проспект
Большой и так должны капиталить, ГАТИ обещала закрытие уже в этом году. Вполне возможно, что строительство станции и ремонт проспекта совместят, по крайней мере, хотелось бы в это верить.
-
Randy
- Сообщения: 3170
- Зарегистрирован: 25 янв 2005, 13:31
Re: Большой проспект
RAID писал(а):Стройплощадка на пересечении Косой линии и Большого пр. одного из выходов станции, вроде как второго.
полагаете, что в приоритете - выход у Горного? не думаю, что сдавать будут одновременно оба выхода...
-
Hugo
- Сообщения: 453
- Зарегистрирован: 13 ноя 2009, 18:55
- Станция метро: Проспект Культуры
- Откуда: Санкт-Петербург
Re: Большой проспект
Интересно, а можно было бы немного изогнуть трассу, чтобы сделать оба выхода на Большом?
- Пумяух**
- Сообщения: 1384
- Зарегистрирован: 18 янв 2012, 21:33
- Станция метро: Крестовский Остров
Re: Большой проспект
Немного? Она, если я правильно понял, идёт почти перпендикулярно проспекту.
-
Hugo
- Сообщения: 453
- Зарегистрирован: 13 ноя 2009, 18:55
- Станция метро: Проспект Культуры
- Откуда: Санкт-Петербург
Re: Большой проспект
Сейчас - да. Мне просто кажется, что выходы на Косую линию и к Покровской больнице были бы более популярны.
-
AvvT
- Сообщения: 40
- Зарегистрирован: 24 сен 2012, 02:57
- Станция метро: Ручьи
- Откуда: Поребрик-сити
Re: Большой проспект
Любой выход в данном месте был бы популярен и актуален...
Ваш Кэп.
Ваш Кэп.
-
Hugo
- Сообщения: 453
- Зарегистрирован: 13 ноя 2009, 18:55
- Станция метро: Проспект Культуры
- Откуда: Санкт-Петербург
Re: Большой проспект
Я имел ввиду, что второй выход на Большом или ближе к Среднему был бы популярнее, чем у Горного.
- Nomernoy
- Профессионал

- Сообщения: 5200
- Зарегистрирован: 10 окт 2005, 16:25
- Станция метро: Театральная
- Откуда: Санкт-Петербург
- karhu
- Сообщения: 3938
- Зарегистрирован: 31 дек 2008, 19:14
- Станция метро: Василеостровская
- Откуда: Санкт-Петербург
Re: Большой проспект
Немного дисгармонично и немного смахивает на Спасскую.
Надеюсь этот проект выльется во что-то лучшее. Ещё лучшее, чем по примеру Бухарестской.
Надеюсь этот проект выльется во что-то лучшее. Ещё лучшее, чем по примеру Бухарестской.
"Ключик на 60 дайте, пожалуйста".
- Константин Филиппов
- Сообщения: 4923
- Зарегистрирован: 06 окт 2004, 11:02
- Станция метро: Озерки
- Откуда: Санкт-Петербург
- Контактная информация:
- 4pet
- Сообщения: 2675
- Зарегистрирован: 13 окт 2005, 13:59
- Станция метро: Ладожская
Re: Большой проспект
Очень оригинально!
