Это скорее уже по инерции было...в40 писал(а):В современной России 1992-93 годов одновременно строилось три линии из четырёх участков, включающих двенадцать (!!!) станций.
Красносельско-Калининская линия. Общая тема
Модератор: Nomernoy
- vartal
- Сообщения: 1380
- Зарегистрирован: 10 ноя 2012, 13:58
- Станция метро: -------
- Откуда: Москва
- Контактная информация:
Re: Красносельско-Калининская линия. Общая тема
Жить - хорошо, а хорошо жить - ещё лучше (©)
- в40
- Профессионал

- Сообщения: 14771
- Зарегистрирован: 05 фев 2009, 19:46
- Станция метро: Проспект Большевиков
- Откуда: Дачное
Re: Красносельско-Калининская линия. Общая тема
satspb писал(а):А почему не внесли в черные списки Метрогипротранс, по итогам его работы на ФР2?
Видимо, потому, что контракт был расторгнут по обоюдному согласию сторон, а не по причине его неисполнения.
О=О=О=О=О=О=О=О=О=О=О=О=О=О=О=О=О=О=О
- Knyaz_Vladimir
- Сообщения: 175
- Зарегистрирован: 18 дек 2008, 19:45
- Станция метро: Выборгская
- Откуда: SPb
Re: Красносельско-Калининская линия. Общая тема
Andrey_K писал(а):Таки все ясно, у этого Метрогипротранса видимо есть свои люди в КРТИ, вот и отменяют конкурса.
Ну так правильно, Харлашкин и Цалко - из Москвы.
Следующая станция - "Введенская"
- russobalt-t
- Сообщения: 893
- Зарегистрирован: 27 июл 2007, 21:18
- Станция метро: Площадь Восстания
- Откуда: Село Децкое))
Re: Красносельско-Калининская линия. Общая тема
bars писал(а):russobalt-t, простите, о чем вы сейчас тут сказали? Читайте учебники по русскому языку, пожалуйста, чтобы выражаться доступно и чтобы вас понимали правильно.
вместе с satspb задаюсь тем же вопросом.
О том, что у нас "До трёх раз - не... ананас".
-
Gleb
- Сообщения: 898
- Зарегистрирован: 22 май 2006, 23:11
- Станция метро: Новочеркасская
Re: Красносельско-Калининская линия. Общая тема
Из проектной документации по расчету пассажиропотоков:
-
Gleb
- Сообщения: 898
- Зарегистрирован: 22 май 2006, 23:11
- Станция метро: Новочеркасская
Re: Красносельско-Калининская линия. Общая тема
Эксплуатационная схема первого пускового участка Казаковская-Путиловская (из проекта):
- в40
- Профессионал

- Сообщения: 14771
- Зарегистрирован: 05 фев 2009, 19:46
- Станция метро: Проспект Большевиков
- Откуда: Дачное
Re: Красносельско-Калининская линия. Общая тема
Интервал в час "пик" - 5 минут (12 пар поездов в час).
Что-то мне подсказывает, что с таким интервалом в утренний час "пик" на "Юго-Западной" поезда будут забиты под завязку.
Что-то мне подсказывает, что с таким интервалом в утренний час "пик" на "Юго-Западной" поезда будут забиты под завязку.
О=О=О=О=О=О=О=О=О=О=О=О=О=О=О=О=О=О=О
-
AgRiG
- Сообщения: 1252
- Зарегистрирован: 07 июн 2009, 15:32
- Станция метро: Автово
Re: Красносельско-Калининская линия. Общая тема
Очень удивляет пассажиропоток Путиловской на втором этапе: 500 чел./час на вход в утренний час пик, это при наличии линии с пересадками до МПЛ и ФПЛ и ни капли не изменившийся по сравнению с их отсутствием (этапом 1). Второе — на том же этапе линии из шести станций максимальный пассажиропоток составляет аж 12 тысяч. Во сколько миллиардов обойдется создание этой линии аж на 12 тыс.чел./час, боюсь представить. А на третьем, простите за недоверчивость, достройка всего одной пересадки при имеющихся трех, плюс еще одной станции, совершенно чудесным образом повышает пассажиропоток всей линии в 2 с лишним раза. Четвертый этап серьезно не рассматриваю, потому что непонятно, при каком конкретно развитии метро он считался и доживем ли мы до него вообще — вижу пересадку на Броневой на Кольцевую линию. Хотя там еще более забавные вещи, например, падающий на 5 тысяч пассажиропоток Брестской и всего того радиуса.Gleb писал(а):Из проектной документации по расчету пассажиропотоков:
Это из последней схемы? Если взять поток с диаграммы выше, 6900 чел/час, и поделить на 12 пар по 6 вагонов, получим 96 человек на вагон. Не так уж и битком. Пассажиропоток-то скромный.в40 писал(а):Интервал в час "пик" - 5 минут (12 пар поездов в час).
Что-то мне подсказывает, что с таким интервалом в утренний час "пик" на "Юго-Западной" поезда будут забиты под завязку.
- GelezinisVilkas
- Сообщения: 3554
- Зарегистрирован: 15 май 2015, 12:19
- Станция метро: Дунайская
Re: Красносельско-Калининская линия. Общая тема
Реально же будет как с открытием Волковской до переключения 4-5 линий.
Выгода во времени будет только для тех кто живёт в зоне пешей доступности к Казаковской, остальные поедут до Автово на ОТ и без лишних пересадок поедут сразу по 1 линии. Чуть-чуть пассажиропоток будет больше зимой и особенно в морозные дни, ну и летом в сильную жару, но в обоих случаях несущественно.
Вообщем будут порожняк гонять даже в час пик.
Выгода во времени будет только для тех кто живёт в зоне пешей доступности к Казаковской, остальные поедут до Автово на ОТ и без лишних пересадок поедут сразу по 1 линии. Чуть-чуть пассажиропоток будет больше зимой и особенно в морозные дни, ну и летом в сильную жару, но в обоих случаях несущественно.
Вообщем будут порожняк гонять даже в час пик.
-
Gleb
- Сообщения: 898
- Зарегистрирован: 22 май 2006, 23:11
- Станция метро: Новочеркасская
Re: Красносельско-Калининская линия. Общая тема
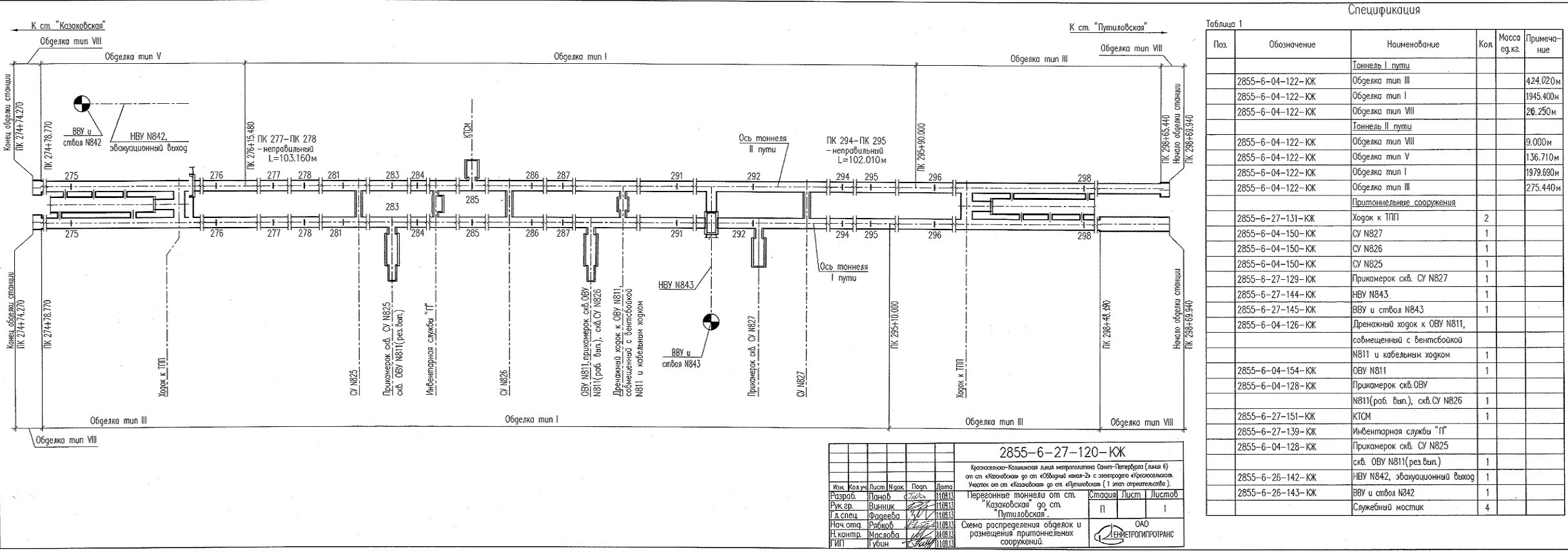
Схема перегона ст. Казаковская - ст. Путиловская (из проекта):
и схема тупиков за ст. Путиловская и ССВ к ст. Нарвская:
Схема тупиков за ст. Казаковская с частью ветки в депо была опубликована ранее.
и схема тупиков за ст. Путиловская и ССВ к ст. Нарвская:
Схема тупиков за ст. Казаковская с частью ветки в депо была опубликована ранее.
-
Gleb
- Сообщения: 898
- Зарегистрирован: 22 май 2006, 23:11
- Станция метро: Новочеркасская
Re: Красносельско-Калининская линия. Общая тема
Проект организации строительства:
-
Vasya
- Сообщения: 309
- Зарегистрирован: 16 фев 2012, 21:10
- Станция метро: Автово
Re: Красносельско-Калининская линия. Общая тема
GelezinisVilkas писал(а):Реально же будет как с открытием Волковской до переключения 4-5 линий.
Выгода во времени будет только для тех кто живёт в зоне пешей доступности к Казаковской, остальные поедут до Автово на ОТ и без лишних пересадок поедут сразу по 1 линии. Чуть-чуть пассажиропоток будет больше зимой и особенно в морозные дни, ну и летом в сильную жару, но в обоих случаях несущественно.
Вообщем будут порожняк гонять даже в час пик.
Категорически не согласен.
Выгода, причем огромная, будет для всех, т.к. стоять по 15-30 минут в утренних и вечерних пробках никто не захочет - проще проехать этот участок под землей, сделав лишнюю пересадку.
Нужно считать не насколько уменьшится километраж поездки на ОТ, а на сколько уменьшится время, а оно уменьшится значительно.
Например, в четверг около 19-00 я ехал на 111 автобусе от Кировского Завода до МедиаМаркта на Жукова почти 30 минут - мертво стояли от Зенитчиков до Казакова. Было бы метро - доехал бы за 5-7 минут.
Да и в межпик быстрее сделать пересадку, чем ехать этот участок на ОТ. Для 60го трамвая вообще сильная разница - лучше потратить 3 минуты на комфортную пересадку под землей, чем 5-7 минут идти к нему под дождем / по морозу / в темноте через дворы в Автово.
Так что выгода для жителей всего Юго-Запада в строительстве одного перегона метро огромная.
Пассажиропоток будет соответствующий - далеко не маленький.
- vartal
- Сообщения: 1380
- Зарегистрирован: 10 ноя 2012, 13:58
- Станция метро: -------
- Откуда: Москва
- Контактная информация:
Re: Красносельско-Калининская линия. Общая тема
Интересно, а почему и на этой линии на той же Казаковской пикетаж заканчивается таким достаточно большим значением? Планируется продление на запад ещё на примерно 26 с лишним километров?
Жить - хорошо, а хорошо жить - ещё лучше (©)
-
Михаил К
- Сообщения: 2424
- Зарегистрирован: 04 янв 2009, 22:09
- Откуда: Санкт-Петербург
Re: Красносельско-Калининская линия. Общая тема
Не на 26 км, а поменьше - западнее Юго-Западной будут четыре станции.
- в40
- Профессионал

- Сообщения: 14771
- Зарегистрирован: 05 фев 2009, 19:46
- Станция метро: Проспект Большевиков
- Откуда: Дачное
Re: Красносельско-Калининская линия. Общая тема
vartal писал(а):Интересно, а почему и на этой линии на той же Казаковской пикетаж заканчивается таким достаточно большим значением? Планируется продление на запад ещё на примерно 26 с лишним километров?
Вполне возможно. Ведь юго-западнее города у нас много городов-спутников: Ломоносов, Петродворец, Гатчина, Красное Село, Павловск, Пушкин.
До Красного Села по прямой - порядка 17-18 километров.
Лет через сорок-пятьдесят территория города может существенно расшириться.
Михаил К, вопрос был о пикетаже. Один нормальный пикет равен 100 метрам.
О=О=О=О=О=О=О=О=О=О=О=О=О=О=О=О=О=О=О