Путиловская
Модератор: Nomernoy
- Михаил
- Сообщения: 4333
- Зарегистрирован: 17 май 2004, 10:20
- Станция метро: Лиговский Проспект-2
- Откуда: Питер
Re: Путиловская
Переход - урод. Что это за тонкий рукав, зачем он нужен?
-
Gleb
- Сообщения: 898
- Зарегистрирован: 22 май 2006, 23:11
- Станция метро: Новочеркасская
Re: Путиловская
Михаил, в статье описано - это переход с лифтом для маломобильных граждан.
- MaksegZ
- Сообщения: 4551
- Зарегистрирован: 15 янв 2006, 06:54
- Станция метро: Московская
- Откуда: Питер
- Контактная информация:
Re: Путиловская
На который все равно с обеих сторон ведут лестницы
Дунайская течёт... как вы судно назовёте, так оно и поплывёт 
"Надо строить быстро, качественно и недорого" © правительство СПб
Создал чат в ТГ, присоединяемся - https://t.me/subwaytalks

"Надо строить быстро, качественно и недорого" © правительство СПб
Создал чат в ТГ, присоединяемся - https://t.me/subwaytalks
- Metroschemes
- Сообщения: 6502
- Зарегистрирован: 22 окт 2005, 04:19
- last_fm: Metroschemes
- Станция метро: Парнас
- Откуда: Питер
- Контактная информация:
Re: Путиловская
Да уж, лучше бы оставили проект Ленгипрометротранса... Это вообще ни в какие ворота не лезет!
Всего за месяц ЗЕНИТ взял три трофея и одну станцию метро!
Заходите на мой сайт: Схема метро - История метрополитенов в схемах!
Заходите на мой сайт: Схема метро - История метрополитенов в схемах!
-
Gleb
- Сообщения: 898
- Зарегистрирован: 22 май 2006, 23:11
- Станция метро: Новочеркасская
Re: Путиловская
Сегодня, 13 марта 2020 года, строительство наклонного хода станции:
- Gornyi
- Сообщения: 230
- Зарегистрирован: 25 ноя 2013, 11:27
- Станция метро: Путиловская
Re: Путиловская
Строительство станции "Путиловская". Февраль 2020
Видео-отчёт о строительстве Красносельско-Калининской линии Петербургского метрополитена. 842 шахта. Станция "Путиловская". Февраль 2020
Видео-отчёт о строительстве Красносельско-Калининской линии Петербургского метрополитена. 842 шахта. Станция "Путиловская". Февраль 2020
- karhu
- Сообщения: 3938
- Зарегистрирован: 31 дек 2008, 19:14
- Станция метро: Василеостровская
- Откуда: Санкт-Петербург
Re: Путиловская
Gornyi писал(а):Строительство станции "Путиловская". Февраль 2020
Видео-отчёт о строительстве Красносельско-Калининской линии Петербургского метрополитена. 842 шахта. Станция "Путиловская". Февраль 2020
Спасибо, радует прогресс.
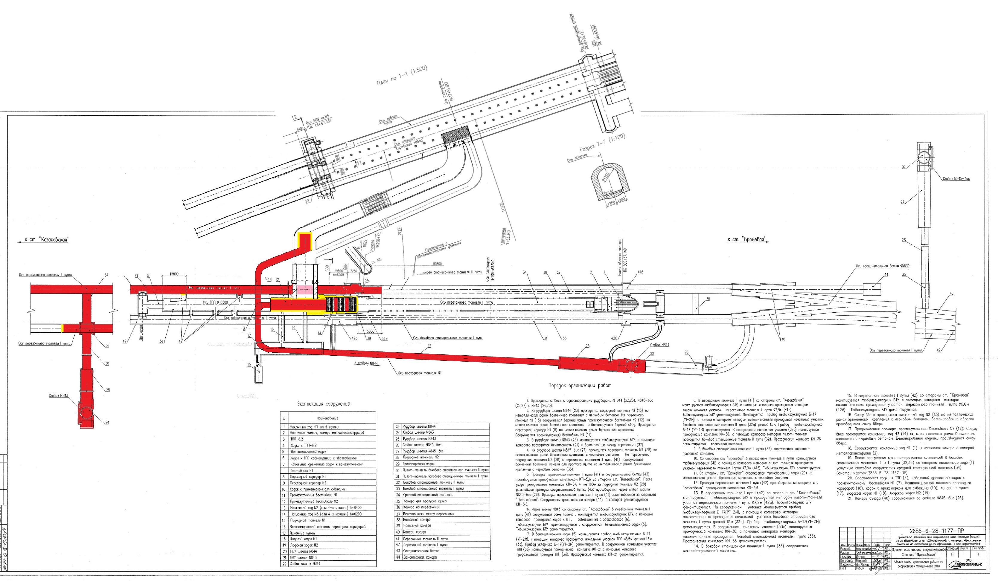
А есть возможность у Вас актуальную схему с подходной штольней к переходу сверсать?
"Ключик на 60 дайте, пожалуйста".
- karhu
- Сообщения: 3938
- Зарегистрирован: 31 дек 2008, 19:14
- Станция метро: Василеостровская
- Откуда: Санкт-Петербург
Re: Путиловская
Что-то типа того должно получиться.
- Вложения
-
- scale_1200.jpg (255.49 КБ) 19486 просмотров
"Ключик на 60 дайте, пожалуйста".
-
Gleb
- Сообщения: 898
- Зарегистрирован: 22 май 2006, 23:11
- Станция метро: Новочеркасская
Re: Путиловская
karhu писал(а):А есть возможность у Вас актуальную схему с подходной штольней к переходу сверстать?
У меня получилась примерно такая схема:
Судя по видео, выполнен ориентировочно следующий объем работ:
-
Gleb
- Сообщения: 898
- Зарегистрирован: 22 май 2006, 23:11
- Станция метро: Новочеркасская
Re: Путиловская
3D-схемы из проектной документации (пересадочный узел, понятное дело, перепроектирован):
И вертикальные разрезы деформации породного массива (тоже со старым пересадочным узлом):
Сечение I-I:
Сечение II-II:
Сечение III-III:
И вертикальные разрезы деформации породного массива (тоже со старым пересадочным узлом):
Сечение I-I:
Сечение II-II:
Сечение III-III:
-
Gleb
- Сообщения: 898
- Зарегистрирован: 22 май 2006, 23:11
- Станция метро: Новочеркасская
Re: Путиловская
Площадка вестибюля станции и 844 шахты сегодня, 17 июня 2020 г.:
-
Gleb
- Сообщения: 898
- Зарегистрирован: 22 май 2006, 23:11
- Станция метро: Новочеркасская
Re: Путиловская
Сегодняшние (10.07.2020 г.) фото:
- W0LF
- Сообщения: 774
- Зарегистрирован: 09 ноя 2019, 21:50
- Станция метро: Девяткино
Re: Путиловская
Найди 10 отличий...
- Павел
- Сообщения: 531
- Зарегистрирован: 22 июн 2004, 11:30
- Откуда: спб
Re: Путиловская
1. Траншея стала длиннее и затопилась водой
2. Автокран другой...
Кто больше???
2. Автокран другой...
Кто больше???
А вы знаете , что терапевт - это 1024 гигапевта или 1048576 мегапевтов
- Divan
- Сообщения: 571
- Зарегистрирован: 31 мар 2010, 10:48
- Станция метро: Приморская
- Откуда: Питер
Re: Путиловская
3. На металлоконструкции на переднем плане начинает появляться крыша (справа).
Жаль только, жить в эту пору прекрасную
Уж не придётся ни мне, ни тебе...
В детстве я мечтал остаться ночью в метро и посмотреть, как меняют батарейки в поездах и заводят эскалаторы.
Уж не придётся ни мне, ни тебе...
В детстве я мечтал остаться ночью в метро и посмотреть, как меняют батарейки в поездах и заводят эскалаторы.