Как так нет СУ.. а как же требования к Гражданской обороне .. ведь метро будет в случае войны является убежищем где понадобятся эти самые СУ..в40 писал(а): ↑25 ноя 2022, 21:20В двухпутных тоннелях на перегонах нет СУ. А ОВУ - это яма в междупутье, из которой погружные насосы откачивают воду к ближайшим станциям. На мой взгляд, не самое лучшее решение, т.к. яма находится между контактными рельсами соседних путей.KarlUlrich писал(а): ↑25 ноя 2022, 16:56 Можно конечно и так)
Вопрос по Каменке, как будут на перегоне сооружаться СУ, ОВУ если перегон двухпутный и как они сооружены на беговой ?
Каменка (Зоопарк)
Модератор: Nomernoy
- KarlUlrich
- Сообщения: 104
- Зарегистрирован: 27 июн 2022, 10:16
- Станция метро: Площадь Восстания
Re: Планерная (Зоопарк)
- KarlUlrich
- Сообщения: 104
- Зарегистрирован: 27 июн 2022, 10:16
- Станция метро: Площадь Восстания
Re: Планерная (Зоопарк)
Интересная информация, не знал .. Спасибо.
Можно было бы поглядеть на схему устройства этих ОВУ? Интересуюсь, т.к. скорее всего их устройство не стандартное
- в40
- Профессионал

- Сообщения: 14816
- Зарегистрирован: 05 фев 2009, 19:46
- Станция метро: Проспект Большевиков
- Откуда: Дачное
Re: Планерная (Зоопарк)
Только не тоннели мелкого заложения.KarlUlrich писал(а): ↑25 ноя 2022, 22:11Как так нет СУ.. а как же требования к Гражданской обороне .. ведь метро будет в случае войны является убежищем где понадобятся эти самые СУ..
О=О=О=О=О=О=О=О=О=О=О=О=О=О=О=О=О=О=О
-
Icefer
- Сообщения: 1370
- Зарегистрирован: 10 июл 2019, 22:38
- Станция метро: Морской Фасад
Re: Планерная (Зоопарк)
Я могу ошибаться, но кажется году в 2018 требования ГО отменили, и на станциях спроектированных после этого года (именно спроектированных, не введённых) ГО уже меньше либо вообще отсутствует. На глубоком заложении понятно что оно по факту всё равно таковым является, но глубокого особо много-то и не строят. Север Дмитровского радиуса в Москве, и северная дуга БКЛ.KarlUlrich писал(а): ↑25 ноя 2022, 22:11 Как так нет СУ.. а как же требования к Гражданской обороне .. ведь метро будет в случае войны является убежищем где понадобятся эти самые СУ..
- KarlUlrich
- Сообщения: 104
- Зарегистрирован: 27 июн 2022, 10:16
- Станция метро: Площадь Восстания
Re: Планерная (Зоопарк)
Тоннели мелкого заложения как раз и подойдут если это обычный конфликт а не атомная война.. и собственно Су больше в обычном конфликте пригодятся т.к. в таком случае люди месяцами могут использовать метро в качестве укрытия от бомбёжек/ обстрелов..в40 писал(а): ↑26 ноя 2022, 20:21Только не тоннели мелкого заложения.KarlUlrich писал(а): ↑25 ноя 2022, 22:11Как так нет СУ.. а как же требования к Гражданской обороне .. ведь метро будет в случае войны является убежищем где понадобятся эти самые СУ..
- KarlUlrich
- Сообщения: 104
- Зарегистрирован: 27 июн 2022, 10:16
- Станция метро: Площадь Восстания
Re: Планерная (Зоопарк)
Спасибо, не знал. Очень печальное и не логичное решение ..Icefer писал(а): ↑27 ноя 2022, 07:33Я могу ошибаться, но кажется году в 2018 требования ГО отменили, и на станциях спроектированных после этого года (именно спроектированных, не введённых) ГО уже меньше либо вообще отсутствует. На глубоком заложении понятно что оно по факту всё равно таковым является, но глубокого особо много-то и не строят. Север Дмитровского радиуса в Москве, и северная дуга БКЛ.KarlUlrich писал(а): ↑25 ноя 2022, 22:11 Как так нет СУ.. а как же требования к Гражданской обороне .. ведь метро будет в случае войны является убежищем где понадобятся эти самые СУ..
- в40
- Профессионал

- Сообщения: 14816
- Зарегистрирован: 05 фев 2009, 19:46
- Станция метро: Проспект Большевиков
- Откуда: Дачное
Re: Планерная (Зоопарк)
Метро, как укрытие, не рассчитано на длительное нахождение в нём людей. Это не подземная гостиница. А конструкции перегонных тоннелей и СУ, расположенных на малой глубине, могут быть повреждены ФАБами, после чего уже не смогут функционировать в качестве укрытия.KarlUlrich писал(а): ↑27 ноя 2022, 13:00Тоннели мелкого заложения как раз и подойдут если это обычный конфликт а не атомная война.. и собственно Су больше в обычном конфликте пригодятся т.к. в таком случае люди месяцами могут использовать метро в качестве укрытия от бомбёжек/ обстрелов..
О=О=О=О=О=О=О=О=О=О=О=О=О=О=О=О=О=О=О
- TheSeaWind
- Сообщения: 340
- Зарегистрирован: 28 июн 2022, 14:52
- Станция метро: Балтийская Жемчужина
- Откуда: Улица Маршала Захарова
Re: Планерная (Зоопарк)
По разработке рабочей документации подготовительного этапа по объекту: «Строительство участка Невско-Василеостровской линии метрополитена от станции «улица Савушкина» до станции «Зоопарк» подал заявку Ленметрогипротранс, но закупка признана несостоявшийся
Одновременно с этим, как я понял. Уже ремонтируют щит "Надежда"
Федеральное финансирование Петербургскому метрополитену!
-
АлександрArz
- Сообщения: 50
- Зарегистрирован: 10 ноя 2021, 16:54
- Станция метро: Комендантский Проспект
Re: Планерная (Зоопарк)
да, пока кое-какое движение пошло в рамках подготовительного этапа. Теперь им еще нужно заключение Главгосэкспертизы непосредственно на проходку. А пока что их задача привести в божеский вид "Надежду" и провести монтажные работы на стройплощадке
-
Icefer
- Сообщения: 1370
- Зарегистрирован: 10 июл 2019, 22:38
- Станция метро: Морской Фасад
Re: Планерная (Зоопарк)
Надо бы тему переименовать в Каменка (Шуваловский проспект 1).
- в40
- Профессионал

- Сообщения: 14816
- Зарегистрирован: 05 фев 2009, 19:46
- Станция метро: Проспект Большевиков
- Откуда: Дачное
Re: Планерная (Зоопарк)
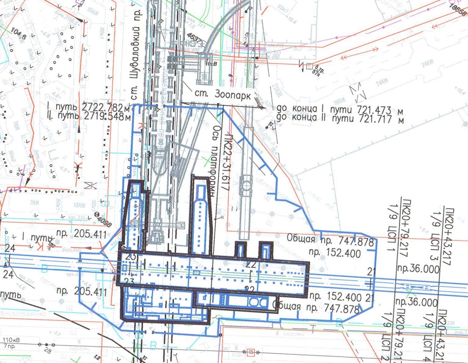
Не спешите. Название станции "Зоопарк" в рабочих чертежах вполне официальное:
- Вложения
-
- Зоопарк.jpg (50.02 КБ) 15015 просмотров
О=О=О=О=О=О=О=О=О=О=О=О=О=О=О=О=О=О=О
-
somniator
- Сообщения: 31
- Зарегистрирован: 19 сен 2022, 15:19
- Станция метро: Улица Дыбенко
Re: Планерная (Зоопарк)
Додумались бы назвать Нижняя Каменка, чтобы не путали с местоположением русла одноимённой реки.
-
Tubeman
- Сообщения: 798
- Зарегистрирован: 29 ноя 2006, 20:27
- Откуда: Питер.Московская
Re: Планерная (Зоопарк)
А чего ждать то? Открытия станции? Очевидно что она так и останется в рабочей документации Зоопарком и ещё более очевидно, что не откроется под этим названием. Пусть в документации только и остаётся. Но в СМИ и на поверхность это не должно выходить, только потенциальных пассажиров путать будет
Уж после решения ТК о наименовании станции и подписи губернатора смело можно названии темы менять (проектное название оставить в скобках,если сильно хочется)
Уж после решения ТК о наименовании станции и подписи губернатора смело можно названии темы менять (проектное название оставить в скобках,если сильно хочется)
-
Icefer
- Сообщения: 1370
- Зарегистрирован: 10 июл 2019, 22:38
- Станция метро: Морской Фасад
- в40
- Профессионал

- Сообщения: 14816
- Зарегистрирован: 05 фев 2009, 19:46
- Станция метро: Проспект Большевиков
- Откуда: Дачное
Re: Планерная (Зоопарк)
Опять Вы тень на плетень наводите. В проектной и рабочей документация станция носит название "Зоопарк".
О=О=О=О=О=О=О=О=О=О=О=О=О=О=О=О=О=О=О