Фрунзенский радиус. Вторая очередь. Общая тема
Модератор: Nomernoy
- 
				Manhattan
- Сообщения: 1721
- Зарегистрирован: 20 сен 2012, 21:39
- Станция метро: Приморская
Re: Фрунзенский радиус. Вторая очередь. Общая тема
Что бы там ни было, но как так можно строить здания (причем это примитивная полутораэтажка) что уже стены потрескались?
			
			
									
						
										
						- в40
- Профессионал 
- Сообщения: 14772
- Зарегистрирован: 05 фев 2009, 19:46
- Станция метро: Проспект Большевиков
- Откуда: Дачное
Re: Фрунзенский радиус. Вторая очередь. Общая тема
Я думаю, что преждевременно делать выводы о качестве строительства здания только по одному фото. Из-за чего по стенам пошли трещины - неизвестно. Представьте себе, если вдруг под домом лопнет труба и произойдёт размыв грунта. Это неизбежно вызовет просадку фундамента здания и через какое-то время могут возникнуть трещины. Также могут быть негерметичные стыки канализационной сети. Полно примеров, когда машины проваливаются в ямы из-за таких размывов.
			
			
									
						
							О=О=О=О=О=О=О=О=О=О=О=О=О=О=О=О=О=О=О
			
						- W0LF
- Сообщения: 751
- Зарегистрирован: 09 ноя 2019, 21:50
- Станция метро: Рыбацкое
Re: Фрунзенский радиус. Вторая очередь. Общая тема
В 2011 трещен вроде нет. Хотя с воздушного шара их не так легко заметить.
			
							
			
									
						
										
						- 
				Gleb
- Сообщения: 898
- Зарегистрирован: 22 май 2006, 23:11
- Станция метро: Новочеркасская
Re: Фрунзенский радиус. Вторая очередь. Общая тема
Часть территории строительной площадки 624 шахты:
Благоустройство вокруг киоска вент. шахты полностью не выполнено со стороны пруда:
			
			
									
						
										
						Благоустройство вокруг киоска вент. шахты полностью не выполнено со стороны пруда:
- Metroschemes
- Сообщения: 6497
- Зарегистрирован: 22 окт 2005, 04:19
- last_fm: Metroschemes
- Станция метро: Парнас
- Откуда: Питер
- Контактная информация:
Re: Фрунзенский радиус. Вторая очередь. Общая тема
Обычно благоустройство делают весной, так что, думаю, все произойдет уже скоро!
			
			
									
						
							Всего за месяц  ЗЕНИТ   взял три трофея и одну станцию метро!
Заходите на мой сайт: Схема метро - История метрополитенов в схемах!
			
						Заходите на мой сайт: Схема метро - История метрополитенов в схемах!
- 
				Gleb
- Сообщения: 898
- Зарегистрирован: 22 май 2006, 23:11
- Станция метро: Новочеркасская
Re: Фрунзенский радиус. Вторая очередь. Общая тема
Благоустройство территории бывшей площадки 622 шахты:
			
			
									
						
										
						- 
				Gleb
- Сообщения: 898
- Зарегистрирован: 22 май 2006, 23:11
- Станция метро: Новочеркасская
Re: Фрунзенский радиус. Вторая очередь. Общая тема
Начали разбирать АБК на части территории бывшей блощадки шахты 624, выносят строительный мусор:
			
			
									
						
										
						- 
				Gleb
- Сообщения: 898
- Зарегистрирован: 22 май 2006, 23:11
- Станция метро: Новочеркасская
Re: Фрунзенский радиус. Вторая очередь. Общая тема
Продолжают разбирать: глядишь - к лету полностью снесут и благоустроят территорию.
			
			
									
						
										
						- 
				Gleb
- Сообщения: 898
- Зарегистрирован: 22 май 2006, 23:11
- Станция метро: Новочеркасская
Re: Фрунзенский радиус. Вторая очередь. Общая тема
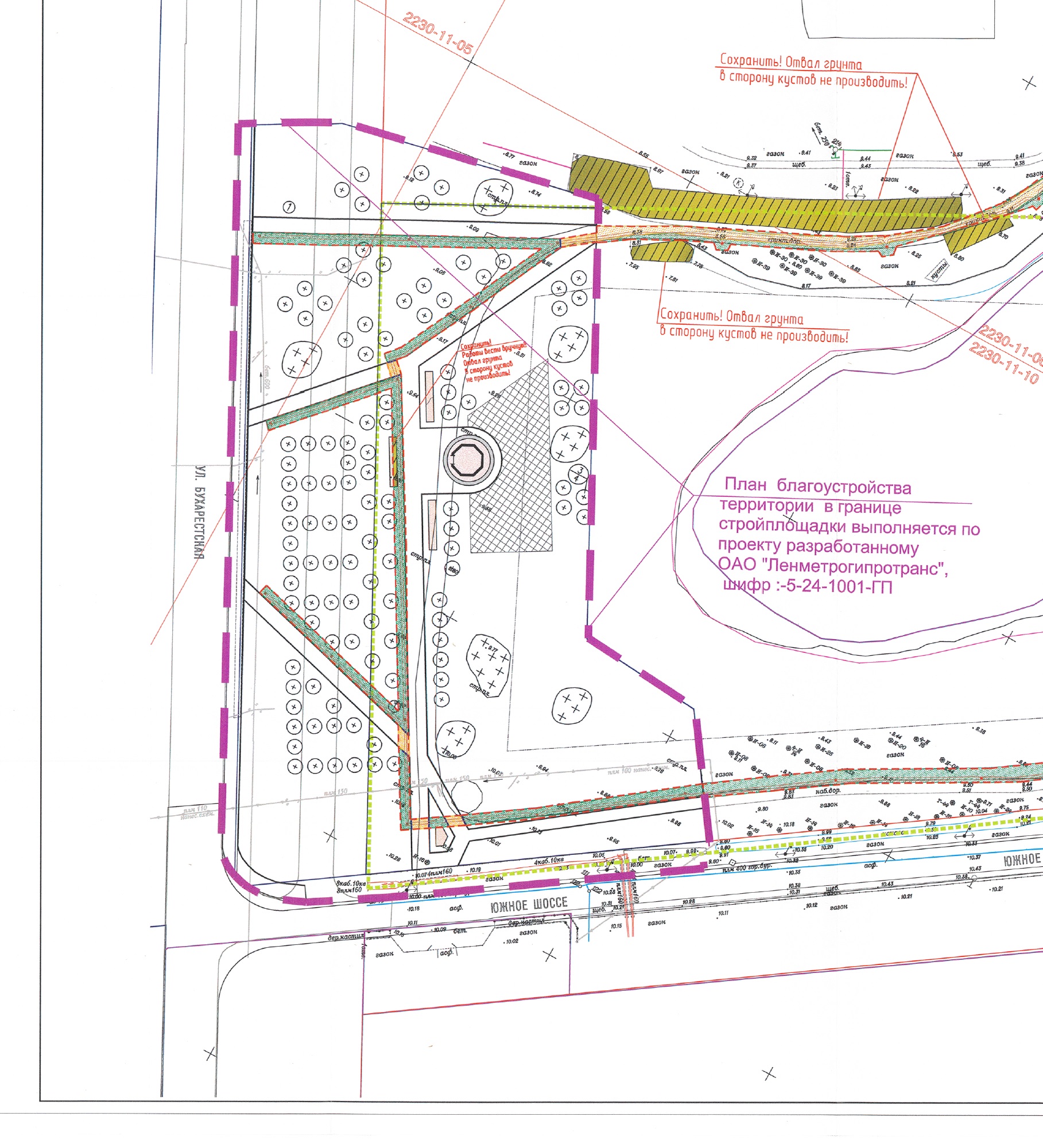
Кусок проекта благоустройства территории бывшей стройплощадки шахты 624:
			
			
									
						
										
						- 
				Gleb
- Сообщения: 898
- Зарегистрирован: 22 май 2006, 23:11
- Станция метро: Новочеркасская
Re: Фрунзенский радиус. Вторая очередь. Общая тема
Визуально на 622 ничего не меняется:
			
			
									
						
										
						- в40
- Профессионал 
- Сообщения: 14772
- Зарегистрирован: 05 фев 2009, 19:46
- Станция метро: Проспект Большевиков
- Откуда: Дачное
Re: Фрунзенский радиус. Вторая очередь. Общая тема
Как правило, затишье на стройках вызвано либо отсутствием финансирования, либо неправильными сметами (когда выполнение работ несёт убыток). Как только финансовые вопросы решаются - стройки сразу оживают.
			
			
									
						
							О=О=О=О=О=О=О=О=О=О=О=О=О=О=О=О=О=О=О
			
						- 
				Gleb
- Сообщения: 898
- Зарегистрирован: 22 май 2006, 23:11
- Станция метро: Новочеркасская
Re: Фрунзенский радиус. Вторая очередь. Общая тема
Ну вот и "распилили" земельный участок бывшей площадки 622 шахты. 
Постановлением Правительства СПб от 29.11.2019 г. № 832 "О внесении изменений в постановление Правительства СПб от 11.12.2007 г. № 1613 "Об утверждении проекта планировки с проектом межевания территории квартала 12А, района восточнее Витебской железной дороги, ограниченной ул. Белы Куна, Бухарестской ул. и ул. Турку, во Фрунзенском районе" на месте площадки появится "Объект капитального строительства, предназначенный для оказания населению или организациям бытовых услуг со встроенным гаражом, объекты капитального строительства в целях обеспечения физических или юридических лиц коммунальными услугами, в частности поставками электричества (две трансформаторные подстанции)".
Когда читаешь ЭТО - и плакать, и смеяться хочется...
Схемы из обоснований к постановлению Правительства:
			
			
									
						
										
						Постановлением Правительства СПб от 29.11.2019 г. № 832 "О внесении изменений в постановление Правительства СПб от 11.12.2007 г. № 1613 "Об утверждении проекта планировки с проектом межевания территории квартала 12А, района восточнее Витебской железной дороги, ограниченной ул. Белы Куна, Бухарестской ул. и ул. Турку, во Фрунзенском районе" на месте площадки появится "Объект капитального строительства, предназначенный для оказания населению или организациям бытовых услуг со встроенным гаражом, объекты капитального строительства в целях обеспечения физических или юридических лиц коммунальными услугами, в частности поставками электричества (две трансформаторные подстанции)".
Когда читаешь ЭТО - и плакать, и смеяться хочется...
Схемы из обоснований к постановлению Правительства:
- 
				Адмирал
- Сообщения: 2246
- Зарегистрирован: 07 окт 2014, 21:16
- Станция метро: Юго-Западная
- Откуда: Санкт-Петербург
Re: Фрунзенский радиус. Вторая очередь. Общая тема
Жаль. Видимо, ещё один парк был бы невыгоден городу...
			
			
									
						
										
						- 
				Den.S
- Сообщения: 4446
- Зарегистрирован: 30 апр 2009, 20:14
- Станция метро: Кировский Завод
- Контактная информация:
Re: Фрунзенский радиус. Вторая очередь. Общая тема
Они там совсем связь с реальностью потеряли, ТЦ и существующие никак не заполнить уже (а после вируса - и подавно), а они всё строят и строят
			
			
									
						
										
						- W0LF
- Сообщения: 751
- Зарегистрирован: 09 ноя 2019, 21:50
- Станция метро: Рыбацкое
Re: Фрунзенский радиус. Вторая очередь. Общая тема
Пандемия временно, а ТЦ навсегда. (с)
			
			
									
						
										
						

